01 ноября 2025, 11:11
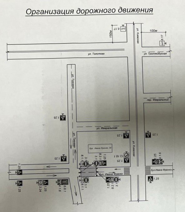
С 1 по 4 ноября в Симферополе будет временно прекращено движение транспорта на участке бульвара Франко. Ограничения связаны со срочными аварийными работами на сетях теплоснабжения.
Как сообщает администрация города, перекрытие будет действовать на участке бульвара Франко — от улицы Тренева в районе дома № 34 по бульвару в сторону улицы Киевская. Работы проводит ГУП РК «Крымтеплокоммунэнерго».
Администрация Симферополя просит водителей и пешеходов заранее учитывать эту информацию при планировании маршрутов и рекомендует выбирать объездные пути.





